
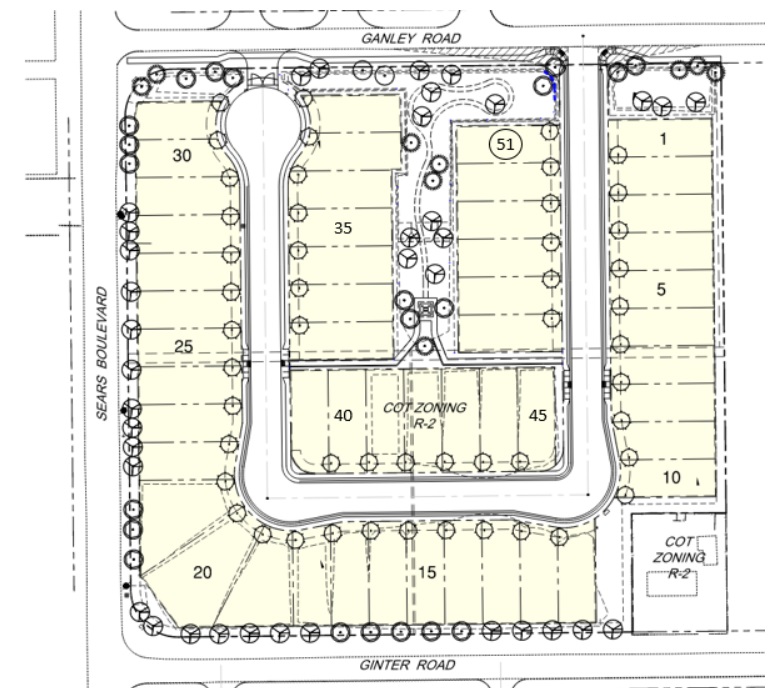
TUCSON, AZ (January 21, 2025) -KB Home closed on 8.31 infill acres for a new subdivision called Cielo Reserve near Valencia & Campbell in Tucson. The purchase price for the property was $1,700,000 ($33,333 per lot). The City of Tucson approved a tentative plat and grading plan on December 20, 2024. The approved tentative plat allows for 51 homesites, 40’x110’ in size.
The transaction closed on January 14, 2025.
Alan Murdock, a licensed broker with Realty Executives who represented himself in the transaction, was the seller. Michelle Alarid, KB Home VP, Regional Counsel, and Bobbi Raymond at Fidelity National Title managed the purchase and sale agreement for the buyer and seller.
In the last 45 days, KB Home has successfully completed three (3) land transactions in Vail, Sahuarita, and now Tucson.
The property’s infill location provides easy access to I-10 and I-19. It is within minutes from the Tucson International Airport, the University of Arizona, downtown Tucson and UofA’s Tech Park in Rita Ranch. For additional information or to join the interest list, visit https://www.kbhome.com/new-homes-tucson/cielo-reserve, call 1-888-KB-HOMES, or visit kbhome.com.
KB Home is SAHBA’s reigning “Builder of the Year” and is always looking for additional land opportunities in the greater Tucson region. Sellers and brokers can reach out directly to Andrew Gasparro, KB Home, Vice President of Land, at 602-686-9889 or via email at apgasparro@kbhome.com


